Подпишись на материалы AgroXXI

Как не занести медведку в огород с навозом и почему она ненавидит куриный помет

вчера в 12:00
Сегодня поднимем тему, от которой у любого дачника пробегает холодок по коже. Представьте: вы заказали машину шикарного, жирного, рассыпчатого перегноя. Радостно разнесли его по грядкам, предвкушая небывалый урожай, а через неделю обнаружили, что весь огород изрыт странными туннелями, а молодая рассада лежит подкошенная, как после битвы. Итак, вместе с «черным золотом» вы занесли на участок медведку. Но есть способ предотвратить опасный переезд!

Как отличить «пустые» кусты клубники от урожайных и подкормка для сладких ягод

вчера в 10:30
В середине мая на клубничных грядках начинается настоящая драма: одни кусты готовятся к «родовым подвигам», а другие — просто жируют за ваш счет. Если вовремя не вычислить этих «тунеядцев», вы будете кормить и поливать пустоцветы всё лето.

Первые бесплатные удобрения проросли на грядках: одуванчики и крапива, которые мы сейчас приготовим

вчера в 09:00
Пока одни дачники тратят деньги на красивые бутылочки со стимуляторами роста в садовых центрах, мы с вами просто оглянемся по сторонам. Видите эти заросли крапивы у забора и желтые головки одуванчиков на газоне? Это не враги, а природный концентрат азота, калия и микроэлементов, который достается нам абсолютно даром. Сегодня научим вас готовить легендарную «зеленую бродилку» — эликсир жизни для томатов, огурцов и клубники.

Ловушка для невидимки: как ученые научились считать проволочников, не перекапывая всё поле

вчера в 08:00
Проволочник — это «невидимый враг» любого фермера. Личинки жуков-щелкунов живут глубоко под землей, и понять, сколько их там на самом деле, — задача со звездочкой. Традиционно агрономам приходилось перелопачивать массу земли, чтобы вручную пересчитать вредителей, но итальянские ученые из нашли способ получше.

Вишневый порошок для говядины: как природные антиоксиданты меняют мясную индустрию

вчера в 07:00
Окисление жиров — это главный враг готовых мясных продуктов. Именно из-за него котлеты теряют аппетитный вид, приобретают странный запах и становятся небезопасными. Раньше эту проблему решали синтетическими добавками, но современные потребители требуют натуральности. Ученые нашли решение: использовать вишневый порошок в качестве природного «телохранителя» для говяжьих котлет.

Действительно ли кофейная гуща отпугивает комаров? Эксперты объясняют этот популярный лайфхак

9 мая 2026 в 15:42
Надоедливые комары могут быстро испортить летнюю вечеринку на заднем дворе, но не стоит пока хвататься за средство от насекомых. К счастью, существует множество простых способов отпугнуть комаров: от установки ловушек для насекомых до набивания карманов салфетками для сушки белья. Один из самых простых и популярных методов — зажигание свечей с цитронеллой — также неплохо справляется с отпугиванием насекомых. Но если у вас нет цитронеллы под рукой, вирусный лайфхак в социальных сетях предлагает кое-что неожиданное, что можно зажечь вместо неё — кофейную гущу.

Как определить, что почва для посевов и посадок уже достаточно прогрелась, если нет под рукой термометра

9 мая 2026 в 14:36
Для успешной высадки рассады, как прекрасно осведомлен любой опытный огородник, недостаточно лишь наличия стабильных теплых температур воздуха и отсутствия угрозы повторных заморозков. Не менее важно, чтобы и почва на грядках прогрелась до нужной температуры на глубине примерно 10 сантиметров. Такой прогрев обеспечивает защиту нежных корешков молодых растений от переохлаждения, позволяя им продолжать активно функционировать, а также способствует более эффективному усвоению питательных веществ.

Больше не завянет! Пролейте этим рассаду за неделю до высадки, и она выдержит даже заморозки

9 мая 2026 в 14:00
Совсем скоро наши подоконники опустеют, а багажники машин заполнятся ящиками с рассадой. Но прежде чем ваши томаты и перцы совершат свой главный вояж в жизни, их нужно превратить из изнеженных «комнатных растений» в настоящих спартанцев. Если вы просто вывезете рассаду из квартиры и воткнете в грядку, она испытает такой шок, что застынет в развитии на две недели. Чтобы этого не случилось, начинаем программу «интенсивной подготовки» за семь дней.

Надёжный рецепт весенней обработки сада с помощью баковой смеси

9 мая 2026 в 13:23
Обойтись без весенних обработок сада против болезней и вредителей практически невозможно. Чтобы сократить количество опрыскиваний, сэкономить время и силы, разработали метод комбинирования препаратов. В нашей статье мы расскажем о проверенном рецепте баковой смеси, которую вы сможете приготовить своими руками.

Лучшие удобрения для подкормки смородины в июне в период плодоношения

9 мая 2026 в 12:48
В начале лета у смородины активно образуются завязи и начинают наливаться ягоды, поэтому культуре требуются усиленные подкормки с акцентом на калий и фосфор. Азотом злоупотреблять не стоит, чтобы не спровоцировать рост листвы в ущерб будущему урожаю. Календарь внесения удобрений и подборка эффективных средств для получения щедрого урожая вкусных ягод.

Гладиолусы: майские старты и секреты посадки, чтобы они не превратились в невзрачные кривулины

9 мая 2026 в 12:00
Привет, любители роскошных клумб! Середина мая — время посадки гладиолусов. Но если вы просто бросите луковицы в ямку «как есть», то в августе вместо королевских цветов получите жалкое зрелище. Сегодня разберем в деталях, как посадить гладиолусы правильно, чтобы соседи выстраивались в очередь за селфи на фоне вашего сада.

Как максимально быстро дозреть компостную кучу в мае: полный курс ускорения для органики

9 мая 2026 в 10:30
Май— это время, когда компост улетает ведрами, а надо получить органику побыстрее. Включаем режим «турбо» и заставляем кучу «свариться» в «черное золото», пока ваша рассада не начала голодать.

Приморье формирует собственную лесосеменную базу с кедровым изобилием

9 мая 2026 в 09:00
В Ширяевском лесопитомнике Приморского края выращивают примерно 2 млн кедровых сеянцев, подготовленных к высадке в лес. Посадочный материал нужен для восстановления лесного покрова региона, озеленения муниципальных территорий и реализации экологических акций.

Рис без сорняков и гербицидов! Аллелопатический десант рапсовой соломы

9 мая 2026 в 08:00
Представьте себе поле боя, где полчища сорняков атакуют рис, но другая сельхозкультура в севообороте даёт им отпор, не нанося вреда «белому золоту». В Китае ученые нашли способ использовать природное явление — аллелопатию — для защиты риса. Главным героем стал масличный рапс (Brassica napus). Выяснилось, что его солома, оставшаяся после сбора урожая, скрывает в себе мощный потенциал экологически чистого гербицида.

Биологический спецназ яблоневых садов: эти хищные клещи не боятся пиретроидов и продолжают охоту

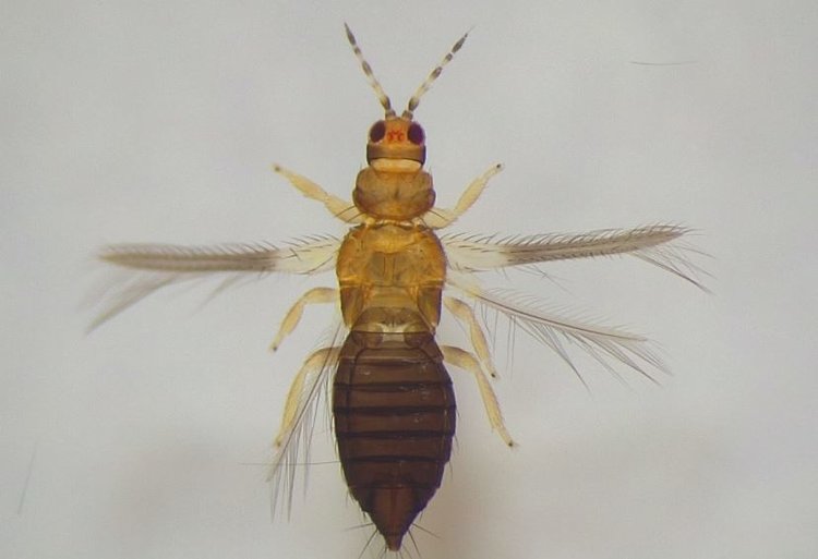
9 мая 2026 в 07:00
Хищные клещи Amblyseius andersoni — «невидимая армия» садоводов. Они неустанно патрулируют яблони, уничтожая вредителей вроде паутинных клещей и трипсов. Однако их восприимчивость к инсектицидам может поставить под угрозу их роль в интегрированной борьбе с вредителями. К счастью, не все инсектициды угнетают полезных помощников.

Клубничный ликбез: главные работы в мае по уходу за клубникой, чтобы дать ягоднику старт

8 мая 2026 в 18:00
Пока соседи расслабленно жарят шашлыки, мы с вами выходим на тропу войны за урожай ягод. В мае нам нужно объяснить клубнике, что мы ждем от неё ведра сладких плодов, а не бесконечные ковры из усов. Если сейчас проспать несколько важных процедур, летом останется только облизываться на картинки в интернете.

Волосатый майский жук — это олёнка: как защитить сад от прожорливого вредителя

8 мая 2026 в 17:30
Мохнатая олёнка — серьёзная угроза для садоводов. Этот прожорливый вредитель способен нанести значительный ущерб яблоням, грушам, сливам и вишням, а также другим плодовым культурам. Из-за неё можно лишиться вкусных и сочных плодов. Как защитить сад от этого незваного гостя, рассказали специалисты Ставропольского филиала Россельхозцентра.

На 124 селекционных участках в 37 регионах в этом году идут работы по предиктивной селекции

8 мая 2026 в 17:00
Филиалы ФГБУ «РосАгрохимслужба» осуществляют агрохимическую диагностику селекционных участков в рамках проекта «Предиктивная селекция», реализуемого Тимирязевским геномным центром и нацеленного на создание в России первой отечественной цифровой платформы геномной селекции растений.

Рубрики

Материалы по теме