
Цифровая модель местности (ЦММ) сельхозугодий, снятая с помощью Zenmuse L1
Сегодня беспилотники – это профессиональное оборудование, с помощью которого аграрий принимает точные решения, позволяющие ощутимо экономить финансовые затраты, точечно использовать удобрения, своевременно отслеживать и предупреждать болезнетворные процессы, выбирать наиболее подходящие культуры для конкретной почвы, оптимизировать и сокращать применение человеческих ресурсов, а также получать точные данные даже в сложных климатических условиях и осуществлять долговременное планирование. Таким образом, за счет точного информирования решается одна из главнейших задач сельского хозяйства – минимизация рисков потери урожая.
Стоит отметить, что в условиях постоянно растущей цифровизации, внедрение беспилотных технологий позволяет сельскохозяйственным предприятиям оставаться конкурентно способным и получать максимальное преимущество на рынке. Использование беспилотников актуально как для крупных агропромышленных комплексов, так и в небольших фермерских хозяйствах.

Aeromotus с беспилотным коомплексом DJI Matrice 300 RTK + Zenmuse P1
Интеграцией беспилотных технологий для сельскохозяйственных предприятий в России занимается официальный дилер DJI компания Aeromotus. Специалисты анализируют поставленные перед сельскохозяйственным предприятием задачи и подбирают наиболее подходящее оборудование. Проводят пуско-наладочные работы и тестовые запуски, а также обучают сотрудников принимающего предприятия. Таким образом, становится возможным внедрение профессиональных беспилотников в кратчайшие сроки в рабочие процессы предприятия.
Беспилотные технологии для сельского хозяйства

В зависимости от поставленных задач, в сельскохозяйственной отрасли применяются различные технологии. Среди которых может быть аэрофотосъемка, лазерное сканирование, фотограмметрия и особенно мультиспектральная съемка.
Мультиспектральная съемка полей выполняется с помощью подвесных камер MicaSense, которые интегрируются с универсальной промышленной летной платформой DJI Matrice 300 RTK. Благодаря данной полезной нагрузке отслеживается состояние полей на основе индекса вегетации NDVI и, при необходимости, других индексов.
Представим пример использования мультиспектральных камер MicaSense в случае выращивания озимой пшеницы. С помощью мониторинга с дроном можно выяснить:
- Состояние полей перед посевом (создать карту рельефа местности, выполнить видеомониторинг состояний почвы, определить качество почвообразования);
- Анализ всхожести (видеомониторинг состояния угодий, определение густоты посевов, получение индекса NDVI, сравнение полей);
- Наличие снежного покрова на полях (в случае с зимним мониторингом);
- Состояние полей весной (видеомониторинг состояния посевов, засоренность почвы сорняками, подготовка карт-заданий, сравнение полей и предупреждение любых проблемных ситуаций с помощью NDVI);
- Готовность урожая (прогноз урожайности, определение сроков сбора, своевременное выявление заболеваний растений, сравнение полей, видеомониторинг состояний, NDVI индекс).
 
  
 
Пример мультиспектральной съемки сельхозугодий с помощью камеры MicaSense
Мультиспектральные камеры компании MicaSenseпредставлены в следующими моделями:
- MicaSense RedEdge-MX для определения точного состояния посевов;
- MicaSense Altum-PT с возможностью тепловизионной съемки;
- MicaSense RedEdge-P с удвоенным разрешением по сравнению с предыдущими RedEdge.
Видео с описанием MicaSense RedEdge-P
Помимо камер MicaSense для агрария интерес могут представлять и полезные нагрузки DJI Zenmuse P1 и DJI Zenmuse L1. Как и мультиспектральные камеры MicaSense, L1 и P1 могут интегрироваться на летную платформу DJI Matrice 300 RTK, делая её универсальным беспилотником для решения широкого спектра задач.
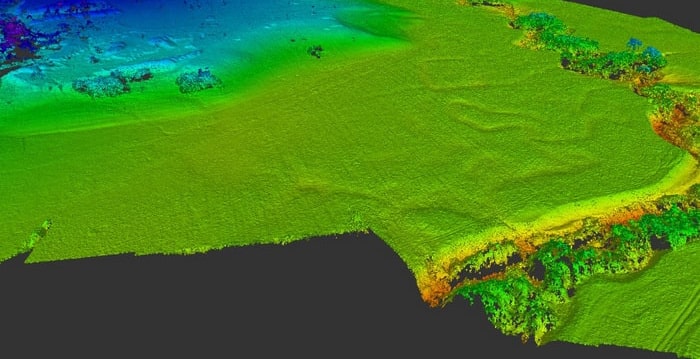
C помощью полезных нагрузок Zenmuse P1 (полнокадровая камера для фотограмметрии) и лазерный сканер Zenmuse L1 можно создавать трехмерные цифровые модели местности сельхозугодий (ЦММ).

Беспилотный комплекс DJI Matrice 300 RTK и лазерный сканер Zenmuse L1
Наличие ЦММ полей позволяет получить информацию о расстоянии от точки съемки до земли (выяснить неровности почвы) и сформировать ортофопланы, которые, в свою очередь, позволяют определять реальную площадь посевов, отследить участки с недостаточной вхожестью, найти заболоченную местность, а также посчитать точный расход удобрений (как для целого поля, так и для отдельных его участков). Эти данные эффективно дополняют информацию, полученную в ходе мультиспектральной съемки, поскольку индекс NDVI является скорее индикатором состояния посевов, но при этом не сообщает о причинах возникшей ситуации.
Ниже представлен пример ЦММ сельхозугодий одного из агропредприятий. Съемка производилась с помощью DJI Matrice 300 RTK + Zenmuse P1.
 
 
Цифровая модель местности. Облако точек в естественных цветах и RGB-спектре.
Преимущества использования беспилотников на полях
Среди основных преимуществ внедрения беспилотных технологий в предприятия сельского хозяйства можно выделить следующие:
- Простой, быстрый и эффективный процесс сбора детальной информации о состоянии сельхозугодий;
- Возможность удаленного мониторинга;
- Автоматизированные миссии, которые заранее программируются оператором;
- Простое внедрение (обучение полетам и обработке данных занимает всего несколько дней);
- Высокая детализация и точность предоставляемых данных, новый уровень ситуационной осведомленности. В отличие от спутников дроны могут производить мониторинг земель при сложных погодных условиях;
- Широкий выбор полезных нагрузок для летной платформы Matrice 300 RTK и программного обеспечения;
- Высокая скорость обработки полученной информации, эффективность и экономичность. Программное обеспечение позволяет точно и быстро производить обработку данных;
- Возможность проведения частых проверок, обеспечивающих предупреждение возможных проблем на полях;
- Предотвращение любых болезнетворных процессов и информация о наличии сорняков;
- Точное планирование расходов удобрений;
- Оптимизация производства, снижение трудозатрат;
- Увеличение прибыли за счет принятия точных решений.
 
 
Цифровая модель местности сельхозугодий.
Помимо вышеперечисленных преимуществ, применение 3D-моделей земельных участков позволяет получить необходимую информацию для: улучшения структуры площадей посева; защиты территорий от образования оврагов и эрозии почвы за счет определения подходящего направления и способа распашки склонов; точного расчета площади сельскохозяйственных земель для приобретения необходимого количества средств защиты, удобрений и семян; устройства лесополос для протекции сельхозземель от сильных снегопадов, солнечной радиации и ветровой эрозии и многих других задач.

Беспилотный комплекс DJI Matrice 300 RTK + Zenmuse P1
Для получения максимальной выгоды от внедрения беспилотных технологий, компания Aeromotusосуществляет постоянную поддержку пользователей беспилотников, в том числе, сельскохозяйственных предприятий и, при необходимости, помогает решать возникающие вопросы, а также расширять список решаемых задач, оптимизируя процессы выращивания урожая. Такой подход обеспечивает наибольшую эффективность от внедрения беспилотных технологий.
На заглавном фото: Беспилотный комплекс для мультиспектральной съемки на основе беспилотника DJI Matrice 300 RTK + MicaSense RedEdge-MX
* Медиаматериалы предоставлены компанией Aeromotus



