Вредитель
| Сводные данные | |
| Благоприятная t (оC) | +20 – +35 |
| Плодовитость (шт) | 100 |
| Генераций в год | Трехгодичная генерация |
| Яйцо (мм) | 2 |
| Личинка (мм) | (65-85)х(13-18) |
| Куколка (мм) | 100х(18-20) |
| Имаго (мм) | До 65 |
Морфология
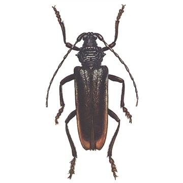
Имаго. Жук смоляно-черного цвета. Размер тела до 65 мм. Надкрылья в вершинной части рыжие. Усики длиннее тела. Переднеспинка покрыта грубым, черными складками.
Шовный угол надкрылий оборудован шипом. Длина второго членика усика, если мерить по внутреннему краю, равна его ширине. Верх покрыт неявственными волосками. Только вершина надкрылий в более густых и заметных волосках. Крымская и кавказская популяции отличаются грубыми морщинистыми переднеспинками, и сильно сужающимися к задней части надкрыльями.
Половой диморфизм. Разнополые особи отличаются строением гениталий. Вторичные половые признаки не выражены.
Яйцо, как и у всех усачей, вытянуто-продолговатой формы, к каудальному концу более суженое, узкозакругленное. На переднем краниальном конце – тупо-закругленное. Длина больше ширины более чем в два раза.
Личинка. Длина в последнем возрасте до 90 мм, ширина – до 20 мм. Щит переднеспинки покрыт довольно грубой штриховкой.
Наличник и верхняя губа личинок, как и у всех особей подсемейства Cerambycinae, узкие, занимают около трети между мандибулярными мыщелками. Режущий край мандибул гладкий, долотовидно-заруглен, зубцы отсутствуют.
Затылочное отверстие разделяет тонкий мостик. Постнотум имеется. Лабиомаксилярный комплекс соединяется с передним краем гипостома на небольшом участке, немного превышающем ширину гулы. IXсегмент брюшка не имеет вооружения.
Куколка, как и у всех усачей,открытого типа со свободно расположенными внешними органами. Голова ясно различима, позади глаз выражен шейный перехват. Хорошо различимы также ротовые придатки, усики, ноги, зачатки крыльев, открытое, подвижное брюшко. Покровы белые, полупрозрачные несут малозаметные щетинки, только в некоторых частях расположенные более-менее густо.
Усики куколки дубового усача на латеральной стороне не имеют шипиков. Вершина брюшка без урогомфальных выростов. Вершина задних бёдер голая. Переднеспинка около вершины не имеет поперечного перехвата.
| Фенология развития (в сутках) | |
| Превращение | Полное |
| Полный цикл | 3 года |
| Яйцо (эмбрион) | 10–15 |
| Личинка | 2,5 года |
| Имаго | 6-9 месяцев |
Развитие
Имаго. Лет жуков наблюдается с половины мая до августа включительно. Особи светолюбивы. Преимущественно поселяются в старых насаждениях, имеющих порослевое происхождение. Здесь они заселяют хорошо освещенные и самые толстые живые деревья дуба, расположенные на южных опушках и в изреженных древостоях.
Период спаривания. Самки откладывают яйца в трещины древесной коры. Плодовитость до 100 штук.
Яйцо. Развитие эмбриона длится 10 – 15 дней.
Личинка после отраждения сразу внедряется под кору. На первом году жизни она выгрызает ход под корой. Перед первой зимовкой личинка углубляется в древесину и там проводит следующие два года. При этом она выгрызает глубокие ходы, ширина которых может достигать 3 см. На третий год развития, после зимовки, личинка подводит ход близко к поверхности ствола и окукливается.
Куколка. Длительность развития 1 – 2 месяца.
Имаго. Молодые жуки отраждаются к концу лета, в июле-августе, зимуют в личиночных ходах. Они покидают дерево только весной. Перед спариванием проходят дополнительное питание соком дуба.
Особенности развития. Генерация трехлетняя.
Морфологически близкие виды
По морфологии (внешнему виду) имаго к описываемому вредителю близок Малый дубовый усач (Cerambyx scopolii). Основные отличия: усики заметно, но не более чем в 1,5 раза, длиннее тела; второй членик усика узкий, кольцевидный, в ширину почти в три раза больше, чем в длину; окрас тела черный без бурого оттенка; размер тела не превышает 28 мм.
Кроме того, вид делится на два подвида Большой дубовый усач (Cerambyx cerdo cerdo) и Южный большой дубовый усач (Cerambyx cerdo acuminatus) близких по морфологии имаго.
У большого дубового усача надкрылья в задней части слабо сужены, а переднеспинка в грубой неправильной поперечно складчато борозчатой скульптуре.
Южный большой дубовый усач отличается надкрыльями, суженными к вершине, переднеспинка покрыта грубой и неправильной скульптурой, бороздки и складки которой соединяются и часто переходят друг в друга.
Географическое распространение
Усач дубовый встречается в дубовых лесах России, Украины и Грузии. Ареал обитания включает Крым, Кавказ, Запад Украины. Сейчас является редким видом и нуждается в охране.
Вредоносность
Усач дубовый повреждает древесину твердолиственных пород. Предпочитает порослевой дуб. Вредят личинки.
В результате жизнедеятельности вредителя деревья ослабляются и теряют устойчивость к неблагоприятным факторам окружающей среды, а также снижается категория технической годности древесины.
Меры борьбы
Надзор
Своевременная организация рекогносцировочного и детального надзора по категориям состояния деревьев.
Санитарные правила
- Своевременное проведение сплошных и выборочных санитарных рубок;
- Своевременная очистка мест рубок, вывозка, окорка в местах лесозаготовок;
- Систематическая выборка мертвого леса, валежа, свежезаселенных и усыхающих деревьев.
Лесохозяйственные мероприятия
- Планирование рубок главного пользования;
- Выборка свежезаселенных деревьев.
Биологический способ
- Привлечение насекомоядных птиц;
- Паразитические энциртид (Oobius rudnevi) и хищные насекомые (пестряки, карапузики, щелкуны), пауки. (Прим. Ред)
Кроме того, при написании статьи использовалась следующие источники:







